Die Elektroverteilungen waren neben den Stahlöfen die wichtigsten Einrichtungen der Hütten und Werke. Der Bochumer Verein hatte mehrere Systeme, mit denen er quasi unterbrechungsfrei mit Strom versorgt werden konnte und mußte. Im Untergrund zwischen der Stahlgießerei und der Formerei lag die Tunnelverteilung. Neben den beiden Hauptzugängen gab es zwei weiter, gesonderte Luftschutzeingangsbauwerke und einen Notausstieg über die Altkanäle des vorigen Jahrhunderts.

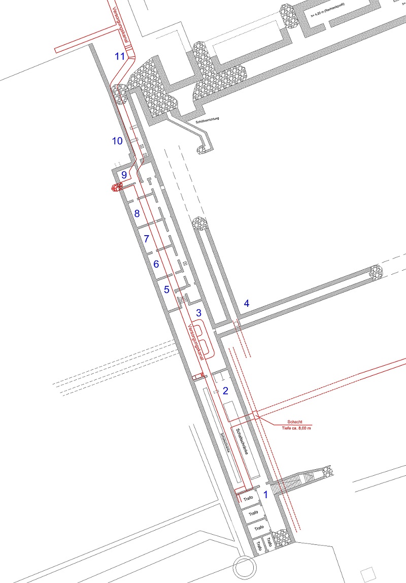
Hier zu sehen , der Luftschutz - Bereich der Sanitäter und der Zugang zu den Luftschutzräumen für die französischen Kriegsgefangenen, die Mitarbeiter der Elektrowerkstatt, die Meister des Stahlwerksbetriebes und die Mitarbeiter der Stahlgießerei 1

Elektro - Gerätschaft Anschlußkästen und Sicherungen

Die Verteilungs - und Schaltkästen

Notausstieg

die 5000 Volt - Versorgung mit den Systemen 1 und 2 konnte von hier aus geschaltet werden

Die Zugänge wurden verfüllt

Flur im Personen-Luftschutzbereich - Ein Kanalschacht wurde hier mit eingepasstem Betondeckel verschlossen

Verbliebene Technik - Lüfter mit Filter

Raumansicht - Hier könnten mit einem bisschen Willen und Geld auch interessante Führungen stattfinden wie auch Ausstellungen usw. getätigt werden. Stichworte wären: Stadtgeschichte, bautechnische Geschichte, soziale Geschichte, Zwangsarbeiter, Krieg und Frieden, Kultur, Heimatgeschichte u.v.m.

1) Trafos und Zugänge von Tor 3 und den Stahlwerkshallen
2) Schaltraum
3) Steuerungsraum
4) Alter Versorgungskanal - Verbindung zum Hammerwerk - in der Kriegszeit als Notausgang / Fluchtstollen eingeplant - bereits in den 80er Jahren verbrochen - Als Besonderheit weist dieser Stollen einen zusätzlichen Notausstieg in einen höherliegenden Versorgungskanal auf. Dieser war ehemals gasdicht gestaltet (selbstzentrierender Deckel)
5) Schutzraum für Französische Kriegsgefangene
6) Schutzraum mit Schutzraumbelüftung - Besonderheit: Telefonliste an der Wand
7) Schutzraum mit Schutzraumbelüftung
8) Schutzraum
9) Schutzraum - Befehlsstelle ehemals mit Zugang zu anderen unterirdischen Anlagen/Bereichen (wurde direkt nach dem Krieg zubetoniert)
10) Schleuse mit Splitterschutzmauern
11) Hauptversorgungskanal - ehem. Verbindungen zu allen Bereichen - u.a. Jahrhunderthalle (zwischenzeitlich zerstört)
Die Ansichten sind nunmehr als historische Dokumentation zu betrachten.
Die gezeigte Anlage wurde beseitigt. Besonders tragisch ist, daß im Zuge der “Sanierungsarbeiten” (baureifmachung) der lange gesuchte Russenbunker freigelegt und ebenfalls beseitigt wurde - allerdings ohne weitergehende Dokumentation.
Es bleibt die Frage, warum dieses einzigartige Bauwerk entsorgt werden musste. Die Stabilität war so groß, daß diese Anlage schadlos den Krieg überstand. Jetzt stehen Leichtbauten auf dem Plateau, wo früher hunderte von Tonnen auf der Tunnelverteilung problemlos aufgelastet werden konnten.
Ein besonders eindrucksvolles Bauwerk des Bochumer Verein war die “Tunnelverteilung”beim ehemaligen Tor 3 an der Alleestraße. Diese wurde zeitgleich mit dem Kolosseum um 1912 gebaut. Hierbei handelte es sich ursprünglich um einen Verbindungstunnel, der zwischen zwei Schlacken- und Bergehalden in Tagebauweise gebaut wurde. Mit dem Kolosseum und dem Tunnel konnte das Gelände, bei gleichzeitiger Schaffung eines höheren Haldenvolumens, besser ausgenutzt werden. Das Stahlwerksplateau entstand durch Auffüllung mit Schlacken und Bergematerial links und rechts des Tunnel.
Mit den Stahlwerksumbauten 1934 - 1937 wurde hier ein Schalthaus mit angeschlossenem Luftschutzbereich eingebaut. Mit einer nachträglich eingezogenen Beton-Zwischendecke gestaltete man diese Anlage besonders luftgeschützt um. Hier trafen Sach- und Personenluftschutz direkt zusammen. Diese Einbauten sind u.a. Beweis für die frühe Vorbereitung auf einen Krieg, mithin Zeugnis darüber, daß sich besonders kriegswichtige Betriebe massiv auf einen Krieg vorbereiteten.
Unterhalb der Tunnelverteilung schlängelt sich noch ein voll begehbarer Versorgungskanal bis zur Jahrhunderthalle hin. Seit der Umgestaltung der Jahrhunderthalle ist dieser Leitungskanal durch einen Verbruch unterbrochen. Bei den Umgestaltungsarbeiten des Vorplatzes wurde die Decke in Unkenntnis der örtlichen Gegebenheiten aufgepickt.
Ein begehbarer Haupt-Abwasserkanal der in den Maarbach entwässert unterquert noch die tiefliegenden Versorgungskanäle im Bereich des Stahlwerksplateau.
Mitte 2012 wurde begonnen, das Stahlwerksplateau für eine neuzeitliche Bebauung vorzubereiten. Im Zuge der Geländeaufbereitung wird dieses weltweit einzigartige Bauwerk zumindest größtenteils beseitigt werden.
In diesem Zuge werden auch die verbliebenen Reste des Stahlwerkes beseitigt, also genau die Anlagen, auf die die Stadt. in der der Stahlguß von Jacob Mayer erfunden wurde, so stolz ist.